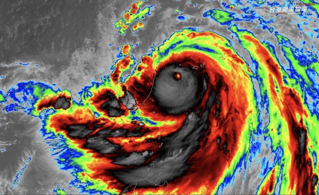
風雨漸大了,目前南屯這裡風大概五級,雨勢忽大忽小 這次颱風千萬不能小看,持續增強目前已經增強為強颱,隨著颱風接近愈晚風雨愈大,請各 位台中市民 嚴防劇烈風雨。 https://i.imgur.com/6NfA81X.jpeg
-- ※ 發信站: 批踢踢實業坊(ptt-site.org.tw), 來自: 59.126.254.156 (臺灣) ※ 文章網址: https://ptt-site.org.tw/TaichungBun/M.1721795444.A.8D3
fanbai: o配色看起來超可怕的XD125.231.127.146 07/24 12:32
psynanako: 風真的一陣一陣的很大 在室內都能感到 49.217.197.106 07/24 12:33
psynanako: 風聲的那種 49.217.197.106 07/24 12:33
oten: 南區 大太陽無雨 111.83.79.166 07/24 12:35
luismars: 真假...還有出太陽喔? 211.73.162.53 07/24 12:40
Kimbel: 到底要多有錢才會想包養 211.73.162.53 07/24 12:40
BIA: 南區無雨 111.82.62.220 07/24 12:43
AChiHuang: 南屯感覺天氣越來越好了 原本還有下雨 114.35.74.58 07/24 12:44
Ryan113: 就還在打招呼階段 www 123.240.116.94 07/24 12:44
oten: 真的啊大太陽 無雨 111.83.79.166 07/24 12:45
wachou80313: 潭子風滿大的 目前無雨 110.30.8.207 07/24 12:49
tale1890: 閨蜜上包養網還推薦我... 110.30.8.207 07/24 12:49
feng990719: 豐原雨一陣一陣 風還好 但好像漸強 27.240.193.218 07/24 12:50
CCNK: 雷達掃過去 那個紅色/紫色塊都是大水彈啊 220.138.45.11 07/24 12:53
softycat: 西屯無風無雨,雲很多但天空明亮,路上180.217.132.123 07/24 12:56
softycat: 的機車騎士大多沒穿雨衣180.217.132.123 07/24 12:56
q2520q: 東海風超級大 123.241.243.28 07/24 13:01
waterway: 包養? 123.241.243.28 07/24 13:01
changkj444: 目前北區無雨 天很亮 59.126.99.147 07/24 13:01
EndlessLove: 災情回報:我家冰箱快空了怎麼辦 116.89.137.201 07/24 13:03
hehcs: 西區風大無雨 36.232.170.159 07/24 13:04
nomosa: 南屯出太陽了 49.213.155.186 07/24 13:04
kagami91582: 臺灣大道 東海往海線方向外車道 106.64.144.122 07/24 13:05
mark1888: 現在包養網都這麼直接嗎 106.64.144.122 07/24 13:05
nobodynoyou: 中科風大 123.240.70.128 07/24 13:05
kagami91582: http://i.imgur.com/oBFACvB.jpg 106.64.144.122 07/24 13:05
Histia: 后里某地區 從早上停電到現在223.137.187.111 07/24 13:09
IronYI1015: 我覺得明天會狂風暴雨… 49.215.87.253 07/24 13:10
jiujeouu: 去小7補貨,雨傘開花了!!(在東區) 111.82.194.90 07/24 13:11
Quaranta: 歐美包養真的很平常嗎? 111.82.194.90 07/24 13:11
dhn: 目前無風無雨 180.217.57.236 07/24 13:12
skvis: 西屯 出太陽 114.38.88.226 07/24 13:13
fp737: 現在台中沒啥回波 61.223.31.182 07/24 13:14
edwin040286: 北屯陣風有G6吧 110.28.10.43 07/24 13:15
poi96300: 站前秀泰要排多久才能進去QQ 111.82.107.239 07/24 13:18
schlemm: 男友上包養網 該放生嗎 111.82.107.239 07/24 13:18
gary821229: 西區開始起風了 風超大 49.217.132.148 07/24 13:19
jeffh: 國安一帶風很大 1.170.93.224 07/24 13:19
lingsk: 現在風大中 清晨還有下些雨 1.168.144.81 07/24 13:20
EEEEEEEnd14: 西區 無雨 天空超級亮 42.76.214.162 07/24 13:23
alaokj: 西區、有風、有微弱太陽,氣溫舒適 49.215.153.165 07/24 13:26
Wirol: 是這個包養平台嗎 49.215.153.165 07/24 13:26
alaokj: 風算是不小、日常清水梧棲的那個等級 49.215.153.165 07/24 13:26
YuiNana: 東區也開始起風了 122.118.46.125 07/24 13:28
fp737: 丞相 西屯起風了 61.223.31.182 07/24 13:31
giogibyeie: 感謝盧媽讓台中市民有時間到Lalaport 42.79.236.159 07/24 13:32
giogibyeie: ,好市多儲備物資。 42.79.236.159 07/24 13:32
marecht: 交男友跟包養有什麼差別 42.79.236.159 07/24 13:32
Zombieisland: 風變大囉 49.215.149.82 07/24 13:36
s0604tw: 大雅起風了 114.46.126.197 07/24 13:45
prionailurus: 北區無雨但風有點大 61.224.134.185 07/24 13:48
chan324: 南屯起風了125.224.130.126 07/24 13:55
say3525: 沙鹿風大,時雨大 111.82.85.103 07/24 14:03
riokio: 包養網到底在紅什麼? 111.82.85.103 07/24 14:03
blue1204: 北屯起大風囉 61.224.151.230 07/24 14:09
wooshiverson: 南屯風雨開始搖滾區了 59.126.254.156 07/24 14:11
RaiGend0519: 遠百風大小雨223.141.191.115 07/24 14:13
RaiGend0519: 太陽偶爾露臉223.141.191.115 07/24 14:13
jerrylin: 有風 沒到很大 36.233.113.100 07/24 14:13
wiimas: 有人被包養 36.233.113.100 07/24 14:13
jerrylin: 現在的氣溫感覺還不錯 36.233.113.100 07/24 14:14
wooshiverson: https://i.imgur.com/6mqa1JG.jpeg 59.126.254.156 07/24 14:20
wooshiverson: 南屯開始在炸了 59.126.254.156 07/24 14:20
snoopy1102: 東區也起風了 49.215.148.90 07/24 14:20
feng990719: 風越來越大了 114.41.76.181 07/24 14:21
Branlli: 求包養...管飽就好XD 114.41.76.181 07/24 14:21
dkl1027: 潭子小風無雨 還有陽光 49.215.56.110 07/24 14:21
tinchu: 風太大只能待家裡QQ 101.10.12.223 07/24 14:26
godshibainu: 太平我這突然刮起強大的風 27.247.135.219 07/24 14:29
x007: 西屯小雨風大 路邊有機車盆栽倒 1.165.213.29 07/24 14:35
wooshiverson: 風雨越來越大了,台中新光17:00後 59.126.254.156 07/24 14:38
Cinedt: 阿姨!我不想努力了(求包養) 59.126.254.156 07/24 14:38
wooshiverson: 不營業 59.126.254.156 07/24 14:38
ray88076: 豐原風很大 1.168.103.24 07/24 14:41
jerry510608: 北屯風超大 站不穩那種123.240.114.229 07/24 14:44
g007: 北屯風真的很大,幸好今天有放假。 111.83.34.220 07/24 14:45
YCTING: 北屯風朝大125.231.118.111 07/24 14:45
Drither: 有沒有富二代要包養125.231.118.111 07/24 14:45
chan324: 這次真的有像颱風天125.224.130.126 07/24 14:46
leotompp: 豐原超狂風..門一直撞..... 123.192.229.80 07/24 14:46
sherlockan: 大雅風開始變大了118.170.231.247 07/24 14:48
zark07222: 西屯目前小風無雨,已經出門玩一個上 1.200.140.120 07/24 14:48
zark07222: 午了,現在開始有一咪咪風,已經出門 1.200.140.120 07/24 14:48
Notker: 身邊有朋友被包養 1.200.140.120 07/24 14:48
zark07222: 要來去打幾圈麻將了! 1.200.140.120 07/24 14:48
bbsterence: 小心晚上風雨變大,回不了家! 61.30.176.65 07/24 14:55
ria999: 北屯風聲有點嚇人 1.168.30.147 07/24 14:56
pat415son: 烏日起風 1.170.92.208 07/24 14:57
kindofo: 中午開始,大里風大有感,盧媽是對的! 182.155.98.59 07/24 14:58
Peycere: 亞洲最大包養平台上線了 182.155.98.59 07/24 14:58
thetakerone: 北屯風好大 陽台的小盆栽都被吹倒了 114.46.210.77 07/24 15:07
vovoson: 今天好像不算放錯 早上天氣是不錯 但下 123.194.10.194 07/24 15:07
vovoson: 班回家應該就很危險了 雨不大風很強 123.194.10.194 07/24 15:07
vovoson: 今天還要上班的百貨業和電影院下班時慘 123.194.10.194 07/24 15:08
vovoson: 了 123.194.10.194 07/24 15:08
vd422: 這個包養網正妹好多 是真的嗎 123.194.10.194 07/24 15:08
tearsong: 中區風聲開始大了 111.83.166.10 07/24 15:09
jokerlin: 豐原中正路樹倒 麥當勞前118.233.210.151 07/24 15:11
Mimiqui: 審計新村的樹倒了180.217.130.237 07/24 15:12
lucky466: 媽的北屯風超強 220.133.40.47 07/24 15:12
Mimiqui: https://i.imgur.com/IfvVrC0.jpeg180.217.130.237 07/24 15:12
lutano: 真的有這麼多人在找包養180.217.130.237 07/24 15:12
BALA: 龍井風大106.107.204.122 07/24 15:13
imqlucy: 烏日起風飄雨了 36.232.187.196 07/24 15:13
EEEEEEEnd14: 風開始變很大了 關窗戶都聽得道 114.38.45.53 07/24 15:14
TKNera: 潭子停電… 42.79.230.180 07/24 15:15
fp737: 喔靠 審計那樹... 61.223.31.182 07/24 15:17
muiwo: 有人可以分析一下包養平台的差異嗎 61.223.31.182 07/24 15:17
godshibainu: 從我剛留言風大至今不停還更大... 27.247.135.219 07/24 15:18
ilove1530: 南屯靠近烏日啤酒廠這裡無雨有風 203.222.6.3 07/24 15:18
devil527: 西屯環中這停電了O_O 39.10.34.175 07/24 15:20
mint913: 太平起風了 颱風有感 114.41.167.223 07/24 15:20
IUOIUOIUO: 昨天那些護航上班的 今天在想甚麼 123.195.86.57 07/24 15:21
sunuzo: 那個包養網人最多XD 123.195.86.57 07/24 15:21
debb0128: https://i.imgur.com/NO8TB9p.jpeg 123.241.44.37 07/24 15:21
firingmoon: 反正那些人在那邊酸,出事他們也可以 39.9.67.242 07/24 15:23
firingmoon: 不用負責,三個字超級可悲 39.9.67.242 07/24 15:23
JAMIENEE: 神岡停電 49.216.173.249 07/24 15:24
winner27: 今天還要上班的辛苦了,下班注意安全 1.165.210.66 07/24 15:25
UNIQC: 我妹上包養網被我發現= = 1.165.210.66 07/24 15:25
timnice: 風大到離譜125.229.218.251 07/24 15:25
whiteheart: 各地百貨公司costco 大塞車災情不斷 42.79.221.80 07/24 15:26
s30227: 后里停電 27.53.168.115 07/24 15:26
pipi0125: 北屯風好大 36.233.222.23 07/24 15:27
lemon525: 天啊風越來越大.... 111.246.93.58 07/24 15:27
dewaro: 隔壁桌的人竟然在討論包養... 111.246.93.58 07/24 15:27
jackyetr2003: 西屯風大,走路艱辛 111.82.196.222 07/24 15:29
laigeorge89: 這次要特別小心,台中已經很久沒有颱 111.82.192.213 07/24 15:30
laigeorge89: 風來所以這之間新裝設的東西都是沒有 111.82.192.213 07/24 15:30
laigeorge89: 經過颱風考驗的 111.82.192.213 07/24 15:30
aaa111bbb2: 這颱風假算有點放對了 風大不好騎車182.155.186.243 07/24 15:35
Elfego: 樓上是不是被包養182.155.186.243 07/24 15:35
serv828: 下班時間風更大,有上班的要小心 36.232.171.104 07/24 15:36
AZBTPATONY: 風超大111.253.204.192 07/24 15:36
AChiHuang: 南屯風雨都不大 114.35.74.58 07/24 15:37
sugar327: 幸好有放,這風超大 114.26.164.240 07/24 15:39
kurapica1021: 西屯起風,賺完紅利的要趕緊回家了 111.82.180.10 07/24 15:42
Nicodim: 未看先猜這包養 111.82.180.10 07/24 15:42
kurapica1021: ,再晚一點風雨就會大起來 111.82.180.10 07/24 15:42
whiteheart: 好險有放假才能去百貨公司 42.79.221.80 07/24 15:42
Qua3small: 北區一陣陣風 漸漸不自然超大 感覺 112.78.82.251 07/24 15:44
Qua3small: 騎機車會倒… 還要小心高樓東西吹墜 112.78.82.251 07/24 15:44
godshibainu: 高雄有女騎士被吹倒路樹壓無生命跡象 27.247.135.219 07/24 15:45
Foning: 一定又是這包養 27.247.135.219 07/24 15:45
ilove1530: R.I.P. 203.222.6.3 07/24 15:46
bbsterence: 南區毛毛雨,風越來越大,有台風的感覺 61.30.176.65 07/24 15:47
future1234: 為什台中海線風會慢慢變小隔天又變大223.141.246.122 07/24 15:49
bbsterence: 護國神山會擋一下 61.30.176.65 07/24 15:51
evitalee6937: 風也太大了~~~~~~ 49.215.90.236 07/24 15:55
AKNY: 包養平台不意外 49.215.90.236 07/24 15:55
g84h21e4: 審計那棵樹印象中超級大耶,能倒很誇張 27.240.187.161 07/24 15:58
g84h21e4: 晚上請大家盡量待在家 27.240.187.161 07/24 15:59
Kitakami: 大里這邊燈閃了一下 差點要停電了111.252.119.224 07/24 16:01
stupidsnow: 大雅停電 49.217.194.224 07/24 16:05
JKCCF: 颱風天 遠離黑板樹... 114.38.16.95 07/24 16:05
mysister: 覺得包養網EY嗎 114.38.16.95 07/24 16:05
F299: 太平 風超大 125.224.130.31 07/24 16:05
wooshiverson: 外面狂風雨也算大,開始替百貨17:0 59.126.254.156 07/24 16:05
wooshiverson: 0下班的員工擔心了 59.126.254.156 07/24 16:05
insidelonely: 霧峰風不小 113.61.242.39 07/24 16:10
tangtaiyu28: 梧棲三井狂風沒雨 180.217.58.63 07/24 16:19
cir72: 包養網站葉配啦 180.217.58.63 07/24 16:19
blue1204: 身為救災人員 晚八還要去留守QQ 61.224.151.230 07/24 16:20
kensukeshu: 新聞說審計那棵是地標級的百年榕樹 1.168.73.39 07/24 16:22
Nakajoayami: 潭子風超大! 118.231.200.90 07/24 16:26
kamo1005: 台中西屯停電中 223.138.191.7 07/24 16:27
jsbd215: 大墩南路好市多這邊路樹倒了111.253.154.138 07/24 16:27
ATrain: 記者收了包養網多少啦111.253.154.138 07/24 16:27
yokohamama: 烏日風大 114.33.61.14 07/24 16:28
softycat: 同樣西屯供電正常,整天沒停電180.217.151.218 07/24 16:28
YU1225: 多處路樹倒塌 請遠離大樹 118.232.26.70 07/24 16:32
aqn23520: 嗚嗚嗚,一瞬間風好大 27.242.34.170 07/24 16:37
debb0128: 市區有誰聽到警報聲? 49.215.50.44 07/24 16:39
grado0802: 包養真亂 49.215.50.44 07/24 16:39
kimura0701: 有欸 為什麼有那聲音 36.232.173.248 07/24 16:39
zboy: 西區有聽到111.253.136.108 07/24 16:40
chehsien: 防空警報欸 27.247.227.17 07/24 16:40
skbshawn: 遠百後面有路樹倒 114.46.7.149 07/24 16:40
pjjk4769: 忠孝夜市也有聽到警報聲 111.82.151.142 07/24 16:41
smilejin: 演藝圈一堆包養好嗎 111.82.151.142 07/24 16:41
tina0013: 南區興大附近也有 49.217.127.60 07/24 16:41
wsxmysky: 聽說西屯廣福路那邊停電了 49.215.50.149 07/24 16:42
proman614: 南屯清真寺這邊風開始大了 1.170.75.185 07/24 16:43
tim0922: 南區這邊風越來越強 怕 114.38.20.117 07/24 16:43
jack01048: 防空警報被吹壞了?123.240.238.180 07/24 16:44
qusekii: 政治圈一堆包養好嗎123.240.238.180 07/24 16:44
roina: 北屯的風好可怕111.246.106.116 07/24 16:46
poi96300: https://i.imgur.com/uyM0uzu.jpeg 111.82.107.239 07/24 16:56
poi96300: 一中附近捐血車旁路樹倒塌 111.82.107.239 07/24 16:57
poi96300: 壓倒車子 111.82.107.239 07/24 16:57
CCNK: 現在陣風的間隔越來越短了 幾乎一直吹強陣 220.138.45.11 07/24 16:58
Y949731: 有錢人一堆包養好嗎 220.138.45.11 07/24 16:58
CCNK: 風 220.138.45.11 07/24 16:58
debb0128: 彰化率先宣佈明天停班停課了….中投呢QQ 49.215.50.44 07/24 17:01
bbsterence: 是嘉義市吧? 61.30.176.65 07/24 17:03
IUOIUOIUO: 昨天愛上班的護航仔會再出來喊要上班嗎 123.195.86.57 07/24 17:04
DIDIMIN: 放三小啦180.217.147.113 07/24 17:04
T730733: 學生妹被包養多嗎180.217.147.113 07/24 17:04
cace: 南投也宣布了 203.222.1.94 07/24 17:04
CCNK: 那個預估雨量早就達標一定放的 220.138.45.11 07/24 17:04
debb0128: 南投停班停課了 49.215.50.44 07/24 17:04
ilove1530: 台中明天也放了 203.222.6.3 07/24 17:05
Tr3vyy: 狂風來了 116.241.11.219 07/24 17:07
FireStation: 亞洲最大包養網上線啦 116.241.11.219 07/24 17:07
timnice: 那個風扯到爆炸 到處都斷樹125.229.218.251 07/24 17:09
fiolina: 風超大220.132.196.167 07/24 17:10
fspmlp: 除了路樹,也記得遠離工地周遭 111.82.214.214 07/24 17:12
wooshiverson: 風大雨大明天又停班停課 59.126.254.156 07/24 17:13
kaorucyc: 台中市再放一天颱風假 市府宣布7/25 59.126.242.64 07/24 17:13
Thobel: 我哥上包養網被我抓包.. 59.126.242.64 07/24 17:13
kaorucyc: 停班停課 59.126.242.64 07/24 17:13
varbutterfly: 風超大 111.82.169.28 07/24 17:24
heygirl5566: 新光三越後面樹都倒了 https://i.img 118.231.208.53 07/24 17:56
heygirl5566: ur.com/oPYFirn.jpeg 118.231.208.53 07/24 17:56
heygirl5566: https://i.imgur.com/ABk0jdq.jpeg 118.231.208.53 07/24 17:56
Reji: 有人包養過洋鬼子嗎 118.231.208.53 07/24 17:56
wooshiverson: 是市政北七路的路樹倒了嗎 59.126.254.156 07/24 18:03
cbstgb: 好黑 42.72.80.246 07/24 18:14
blue1204: 公司同事值班仔要連上36小時班了QQ 61.224.151.230 07/24 18:42
malain: 台灣大道往沙鹿方向 過東大加油站慢車道 42.77.166.96 07/24 19:40
malain: 路樹倒了,封閉慢車道道中 42.77.166.96 07/24 19:40
Hathael: 有錢人為啥都想包養 42.77.166.96 07/24 19:40
fspmlp: 逢甲路與福星路口樹倒封路 125.231.167.26 07/24 21:08
jerrylin: 風雨開始大了 111.252.93.107 07/25 00:05
BIA: 搖滾區? 42.76.118.194 07/25 03:12
insidelonely: 霧峰開始大風大雨 113.61.242.39 07/25 03:24
xc2v: 南屯史詩級小雨 1.168.24.136 07/25 07:51
yovroc: 有人被洋鬼子包養過嗎 1.168.24.136 07/25 07:51
xc2v: 現在中中雨 1.168.24.136 07/25 08:14
qmomoyaya: 太平炸裂111.252.106.207 07/25 08:21
circleli: 東海大雨 220.132.100.20 07/25 08:43
graceTai: 東海風大雨大 完全不想走出車子… 111.83.72.60 07/25 09:36
lovespider: 潭子暴雨 111.83.5.52 07/25 09:50
helgalie: 到底要多有錢才會想包養 111.83.5.52 07/25 09:50
baby1818: 東區暴雨 49.215.47.252 07/25 10:07
captainriot: 大里中雨中風都不知道該不該開店了 39.9.70.218 07/25 10:14
ilove1530: 南屯目前風算大,雨還好 203.222.6.3 07/25 10:16
KBking: 太平炸裂中 110.28.120.216 07/25 10:18